
White County Commissioners have approved making a major property purchase within the city of Cleveland that could lead to, in the future, an entire county office complex.
During Monday’s regular commission meeting, County Commission Chairman Travis Turner laid out how all this came about.
“The idea to purchase some additional property began when they started looking at making additions to and remodeling the current County Tax Commissioners Office,” he said. “It became clear that it would be financially more responsible to build a new building on a vacant lot and have a facility that could benefit the community and county for years to come.”
Realizing the county could possibly run into the same situation with the existing courthouse, county officials started looking for property for future planning.
“During this past fall, a couple of opportunities came to light that could not only fill these needs but also open the door to an entire county complex area that could house the tax commissioner’s office, potentially a new courthouse and other county buildings such as a library and possible fire station.”

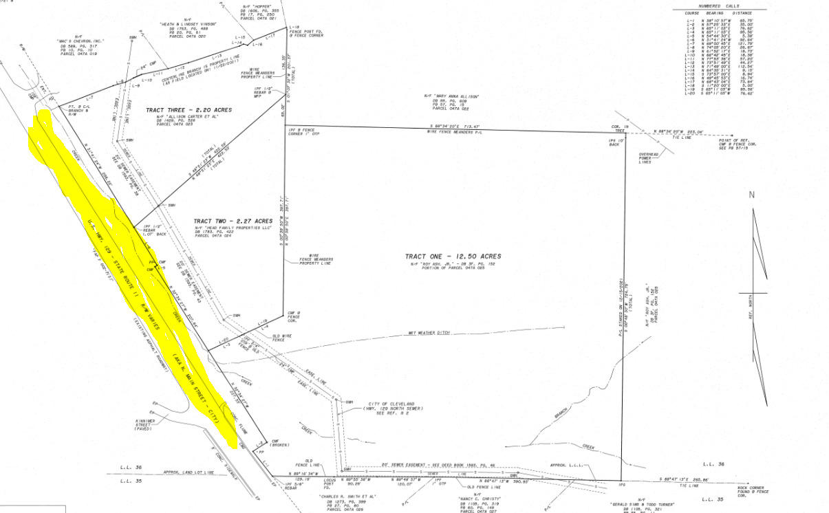
Tuesday, the county closed on three tracts of land located on Highway 129 North in the city of Cleveland totaling 16.97 acres. The property is just past Ronny Smith’s Soda Shop up to the Chevron Station. The total purchase price is $1,262,500.
Summary of transaction:
- Tract 1: 12.50 acres – purchased from The Estate of Roy M. Ash, Jr. for $1,062,500.00
- Tract 2: 2.27 acres – purchased from Head Family Properties, LLC for $100,000.00
- Tract 3: 2.20 acres – purchased from Allison Studley Carter for $100,000.00
The funding for this will come from the 2014 SPLOST fund. “No debt will be incurred on this purchase,” said Turner.
According to the commission chair, they will be finalizing a site use plan, with the first building to be located on the property the Tax Commissioners Office.
“The commissioners see and feel that this purchase is one that can benefit our community for potentially the next 20 to 30 years,” Turner said.





