
A new residential development could be coming to Rocky Branch Road. Clarkesville’s Planning Commission is scheduled to take its first official look at the proposal during its regular meeting on Tuesday, July 8 at 5:30 p.m. at City Hall.
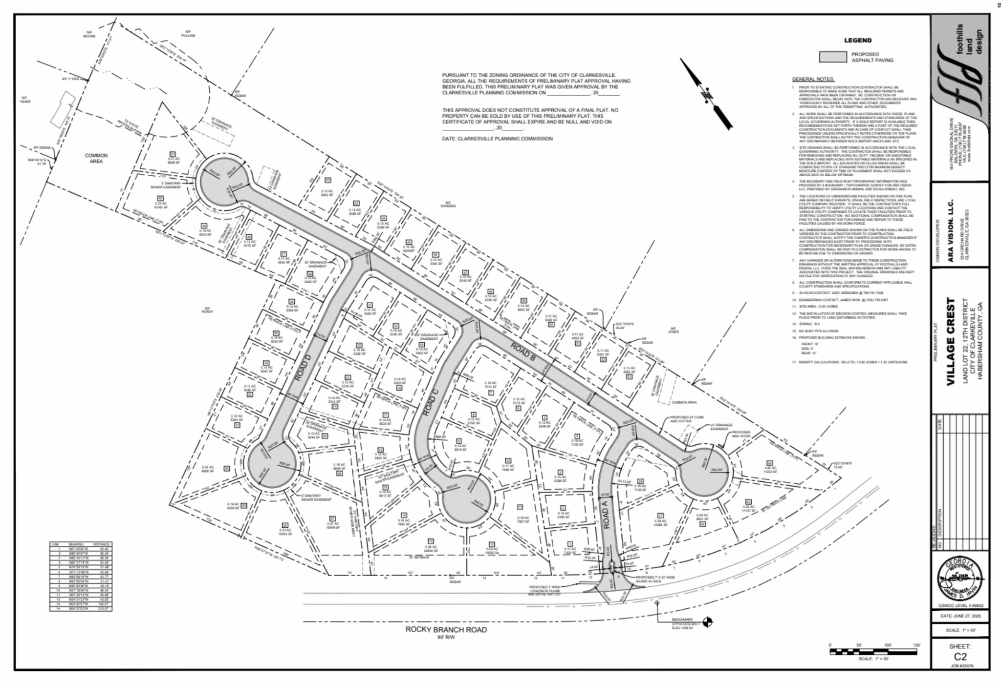
On the agenda is the preliminary plat for the Village Crest Subdivision, a proposed 58-lot development submitted by ARA Vision, LLC. The property is located off Rocky Branch Road (Map & Parcel 104 214) and covers approximately 13.5 acres currently zoned R-2 (Multiple Family Residential).

According to Planning and Zoning Administrator Caleb Gaines, the commission will review and provide comments on the preliminary plat, which is the first step in the subdivision approval process. If the commission approves the plat, the developer will need to apply for a Notice of Intent from the Georgia Environmental Protection Division (EPD) before beginning any land disturbance or infrastructure work.
Once initial development is completed and the final plat is submitted and approved, the city may begin issuing building permits for home construction.
The subdivision plans include paved roads, curb and gutter infrastructure, a mail kiosk, and various utility easements. Most of the proposed residential lots range in size from about 0.11 to 0.28 acres, reflecting a density of approximately 4.3 units per acre.





